The Sydney Morning Herald logo
Advertisement

This was published 7 years ago

Ferocious winds and blinding rain: Mangkhut lashes the Philippines

Aaron Favila

Updated ,first published

Tuguegarao, Philippines:  Philippine officials were assessing damage and checking on possible casualties as typhoon Mangkhut on Saturday pummelled the northern breadbasket with ferocious wind and rain that set off landslides, damaged an airport terminal and ripped off tin roofs.

A resident walks along destroyed stalls at a public market due to strong winds as typhoon Mangkhut barrelled across Tuguegrao in Cagayan province, Philippines.AP

There are no immediate deaths reported but Defense Secretary Delfin Lorenzana said officials in north-eastern Cagayan province, where the the typhoon made landfall before dawn, were verifying the drownings of two children. Authorities were also checking what happened to about 70 men who reportedly returned to their coastal village to check on their homes during dangerous storm surges that saw walls of seawater whipped inland.

Motorists brave the rain and strong winds brought about by typhoon Mangkhut which made landfall in Baggao, Cagayan province, at 1.30am on Saturday..AP

Mangkhut's sustained winds weakened to 170 kilometres per hour with gusts of up to 260 kp/h after it sliced across Luzon Island's flood-prone rice plains and mountain provinces toward the South China Sea, aiming at southern China and Hong Kong, where residents braced for the worst.

Advertisement

"It's still a life and death situation," Lorenzana said by telephone, citing past drownings in swollen rivers in mountain provinces.

Storm warnings remained hoisted in 10 northern provinces, including Cagayan, which could still be lashed by devastating winds, forecasters said. Tens of thousands of people on the typhoon's path had been evacuated.

At daybreak in Cagayan's capital, Tuguegarao, journalists saw a severely damaged public market, its roof ripped apart and wooden stalls and tarpaulin canopies in disarray. Outside a popular shopping mall, debris was scattered everywhere and government workers clearing roads of fallen trees.

A vehicle negotiates a flooded street in Manila before dawn on Saturday.AP

Many stores and houses were damaged but most residents remained indoors as occasional gusts sent small pieces of tin sheets and other debris flying dangerously.

Advertisement

Tuguegarao airport terminal was badly damaged, its roof and glass windows shattered by strong wind, which also sent chairs, tables and papers flipping about inside, Lorenzana said.

The typhoon struck at the start of the rice and corn harvesting season in Cagayan, a major agricultural producer, prompting farmers to scramble to save what they could of their crops, Cagayan Governor Manuel Mamba said.

A government damage assessment was underway except in areas still being battered by wind and rain. Two air force C-130 cargo planes and 10 helicopters were on standby in Manila to help transport rescuers and aid supplies.

Advertisement
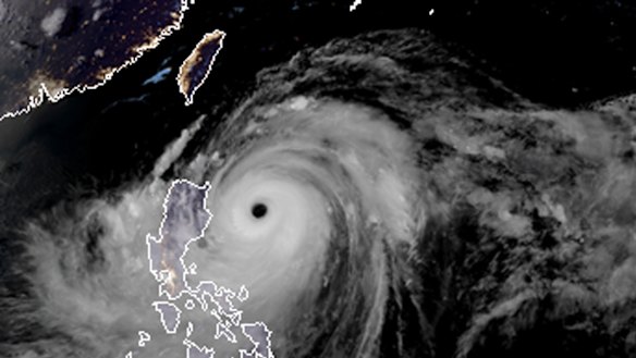
A satellite image with land graphic borders shows the width and trajectory of Mangkhut as it approached the Philippines.AP

More than 5 million people were at risk from the storm, which the Hawaii-based Joint Typhoon Warning Centre downgraded from a super typhoon but one that's still punching powerful winds and gusts equivalent to a category 4 Atlantic hurricane.

In Hong Kong, Security Minister John Lee Ka-chiu urged residents to prepare for the worst as Mangkhut barrelled toward the southern Chinese city.

Cathay Pacific said all flights would be cancelled between 2.30am local time on Sunday and 4am Monday.

Advertisement
Guests sleep inside a hotel restaurant after the roof of their room was partly damaged due to strong winds from Typhoon Mangkut in Tuguegarao.AP

"Because Mangkhut will bring winds and rains of extraordinary speeds, scope and severity, our preparation and response efforts will be greater than in the past," Lee told a briefing on Friday. "Each department must have a sense of crisis, make a comprehensive assessment and plan, and prepare for the worst."

In nearby Fujian province, 51,000 people were evacuated from fishing boats and around 11,000 vessels returned to port on Saturday morning.

Sacks filled with relief goods sit in a gym awaiting distribution to temporary evacuation centers ahead of Mangkhut's arrival in Tuguegarao n Friday.Bloomberg

China's National Meteorological Centre issued an alert saying Mangkhut would make landfall somewhere on the coast in Guangdong province on Sunday afternoon or night, packing strong winds and heavy rains.

Advertisement

Ferry services in the Qiongzhou Strait in southern China were halted on Saturday and helicopters and tugboats dispatched to Guangdong to transfer offshore workers to safety and warn ships about the typhoon, state-run Xinhua News Agency reported.

Mangkhut, the Thai word for mangosteen fruit, is the 15th storm this year to batter the Philippines, which is hit by about 20 a year and is considered one of the world's most disaster-prone countries.

Typhoon Haiyan left more than 7300 people dead or missing, flattened villages, swept ships inland and displaced more than 5 million in the central Philippines in 2013.

AP

Advertisement

Advertisement

From our partners

Advertisement
Advertisement