The Sydney Morning Herald logo

Typhoon

Advertisement

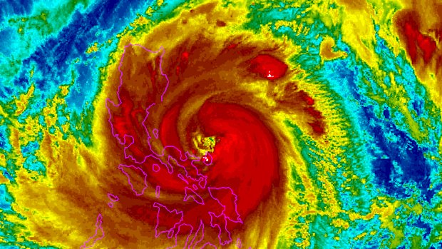
Super typhoon blows away from Philippines, leaving two dead, 1.4m displaced

Fung-wong lashed the northern Philippines while the country was still dealing with the devastation wrought by Typhoon Kalmaegi.

  • Adrian Portugal and Eloisa Lopez

Latest

Super Typhoon Fung-wong makes landfall in the Philippines, bringing flash flooding and extreme winds.
Video icon0:37

Super Typhoon Fung-wong batters the Philippines

Super Typhoon Fung-wong makes landfall in the Philippines, bringing flash flooding and extreme winds.

Vehicles lie piled on after flooding caused by Typhoon Kalmaegi in Cebu city, central Philippines, Tuesday, Nov. 4, 2025. (AP Photo/Jacqueline Hernandez)

Philippines declares state of emergency as Typhoon Kalmaegi leaves more than 100 dead

The deaths were mostly from drowning in flash floods, and 127 people are still missing.

  • Adrian Portugal
A river in Taiwan during Super Typhoon Ragasa.

At least 14 dead after super typhoon hits tourist area en route to Hong Kong

More than 120 people are also missing after Super Typhoon Ragasa crashed into a popular tourist region of Taiwan, washing away a bridge and turning roads into churning rivers.

  • Yimou Lee
Super Typhoon Ragasa has lashed Taiwan before heading for Hong Kong, causing a bridge to collapse and a lake to break its banks in Hualien county, leaving 14 dead and 129 missing.
Video icon1:37

Super typhoon causes bridge to collapse in Taiwan

Super Typhoon Ragasa has lashed Taiwan before heading for Hong Kong, causing a bridge to collapse and a lake to break its banks in Hualien county, leaving 14 dead and 129 missing.

Super Typhoon Ragasa

Qantas suspends Hong Kong flights for 36 hours as super typhoon approaches

Hong Kong International Airport will suspend all passenger flights for 36 hours from Tuesday evening as the Asian financial hub prepares for Super Typhoon Ragasa.

Advertisement
A man hangs up flags in Hanoi in preparation for Vietnam’s national day under a cloudy sky caused by Typhoon Kajiki on Monday.

Typhoon Kajiki kills three in Vietnam, floods Hanoi streets

The storm damaged nearly 7000 homes, inundated 28,800 hectares of rice plantings and felled 18,000 trees.

  • Khanh Vu and Minh Nguyen
Typhoon Kajiki

Vietnam braces for Typhoon Kajiki as it nears coast

The storm is likely to strengthen, with wind speeds as high as 180km/h predicted.

  • Khanh Vu and Ethan Wang
People carrying belongings wade in a flooded street in the aftermath of Typhoon Yagi in Hanoi, Vietnam.

Australia sends $3 million in aid to Vietnam as death toll from Yagi rises over 200

The death toll in Vietnam has risen to 226, with 104 people missing, the government’s disaster management agency said.

  • Hau Dinh and David Rising
This satellite image released by NASA shows Typhoon Nanmadol on Saturday as it was approaching southwest Japan.

One dead, one missing after typhoon slams southwestern Japan

Tens of thousands of people spent the night at gymnasiums and other facilities in a precautionary evacuation of vulnerable homes.

  • YURI KAGEYAMA