The Sydney Morning Herald logo
Advertisement
Explainer

Will this be the season of the super cyclone?

It's cyclone season in Australia. How do cyclones work? What's it like to fly into one? And what can we expect this summer?

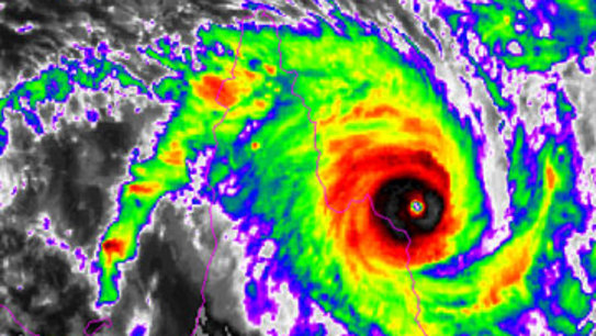
In this infrared image, dark areas show the most intense energy swirling through Hurricane Sandy over Cuba in 2012.
In this infrared image, dark areas show the most intense energy swirling through Hurricane Sandy over Cuba in 2012.NOAA

Cyclones have a purpose: they help the Earth's atmosphere do its job of redistributing heat from the equator to the poles. And yet even Australia's Bureau of Meteorology regards them as an enigma. "It has been said that if we had not actually observed tropical cyclones then, despite all we know about the physics of the atmosphere, we would never have guessed at their existence," the bureau says.

But just as these incredibly strong tropical storms may be remarkable to scientific experts, they're understandably scary to us.

Known as typhoons in east Asia and hurricanes in the Atlantic and eastern Pacific, tropical cyclones have the potential to wreak havoc on human populations and ecosystems wherever they strike.

In October 2018, Super Typhoon Yutu, the latest in a decade of doozies, slammed into the main Philippines island of Luzon after battering the Northern Mariana Islands with winds of 290km/h. It was the year's most powerful cyclone and among the most violent ever recorded.

Seven of the 10 strongest cyclones have happened since 2006. And there are signs that, as climate change warms the planet, they are getting worse.

So with Australia's annual cyclone season now officially upon us until April, what are we in for? And in a world racked by ever more extreme weather events, are we entering an age of super cyclones?

Advertisement

How do cyclones work?

Tropical cyclones are like giant engines that suck up moist air over warm waters. They're fuelled by temperature differences between the surface and the cool upper atmosphere. Water evaporates from the ocean and releases latent energy when it condenses and forms clouds.

That rising air also creates a low-pressure area, which draws in air from the higher pressure down into the centre of the developing cyclone.

If conditions are suitable, the clouds organise into huge circular bands that begin to spin as they move across the sea. A phenomenon called the Coriolis effect - caused by the Earth's rotation - affects weather, creating a spiralling movement in ocean currents (such as gyres) and winds. As the Earth turns, developing cyclonic systems will swirl clockwise in the southern hemisphere and anti-clockwise in the north.

If the storm stays sufficiently organised as it rotates faster and faster, an area of calm forms in the centre - becoming an eye.

According to the Bureau of Meteorology's definition of a tropical cyclone, winds need to be at least 34 knots (about 63km/h) and sustained for at least six hours. Gusts are at least 90km/h.

Advertisement

The bureau's definition of a cyclone kicks in at a lower windspeed than in the North Atlantic and north-western Pacific, where they will be called tropical storms at that point. Stronger ones in our region are dubbed severe tropical cyclones.

Cyclone Debbie, first tracked south-east of PNG, picks up strength as it heads for Queensland.
Cyclone Debbie, first tracked south-east of PNG, picks up strength as it heads for Queensland.Himawari-8

How do cyclones start?

A key ingredient for a cyclone forming is warm sea-surface temperatures. The bureau says the threshold requirement is about 26.5 degrees, down to a depth of about 50 metres.

In the past, such as during the last Ice Age, that necessary trigger point was cooler, and there were probably more tropical cyclones than today, according to Kevin Walsh, a tropical meteorologist at the University of Melbourne.

Advertisement

"Essentially, there's nothing magical about 26.5 degrees," Associate Professor Walsh says.

Indeed, waters can be well above that temperature without a storm forming. For instance, being too close to the Equator – about 500 kilometres either side – typically rules out cyclone formation. The absence of the Coriolis effect is the key, and the required spin of a cyclone doesn't get to occur.

The rare equatorial exceptions are where winds are forced by topography - such as a prominent mountain - into a sufficient turn to create a spinning system, Walsh says.

What's it like to fly into a cyclone?

Jason Dunion, an atmospheric scientist, regularly buckles into his seat on a "hurricane hunter" aircraft flown by his employer, the US National Oceanic and Atmospheric Administration.

More than 50 times, Dunion has flown – in aircraft with padded cabins – through the eye walls of tropical cyclones to capture data about the tempests that satellites and ground stations can't gather.

Advertisement

"We might hit up-draughts of 10-15 metres a second and the tricky part is you might get a down-draught of 10 metres a second right near that," he says from his base in Miami, Florida. "It’s like a roller-coaster except you can’t see ahead – you don’t know what’s coming."

Jason Dunion on board a US hurricane hunter aircraft.
Jason Dunion on board a US hurricane hunter aircraft. Jason Dunion/NOAA

That US authorities continue to fly scientists and their crews into the planet's most violent tempests – some have clocked up 500 passes through the eye of storms – hints at the complexity of cyclones. Even predicting where they will form can be tricky.

"Which one of these little seedling cloud clusters may or may not form [into a cyclone]? It’s still very hard to forecast," Dunion says.

"How does a storm suddenly start to pull itself together and actually cross the threshold and become a tropical cyclone as opposed to just a cluster of clouds that fades into the sunset?"

With the data collected during the flights, NOAA is able to update and recalibrate its models, helping to improve forecasters' ability to predict where the tempest will track. Australia lacks the funding for similar flights.

Advertisement
Meteorologist Clement (aka Inclement) Wragge.
Meteorologist Clement (aka Inclement) Wragge.

How are cyclones named?

Once a potential cyclone is identified, the next task is to name it.

Clement Wragge, a Queensland government meteorologist in pre-Federation days, started naming storms that came out of the Southern Ocean, often picking names of politicians who had annoyed him, according to The Weather Watchers by David Day.

The more regular use of names for cyclones began in the middle of the last century. Authorities realised the public benefits of quick identification of storms, particularly when several cyclones were churning in the same region at once.

Initially, storms received only female names until various regions began introducing alternate male names, by the late 1970s in the case of hurricanes.

The aftermath of Cyclone Tracy: it was so bad the name has been "retired" by meteorologists.
The aftermath of Cyclone Tracy: it was so bad the name has been "retired" by meteorologists.Rick Stevens

Before each cyclone season ramps up, Australia's Bureau of Meteorology issues its list of cyclone names. It has hashtags ready for the names – eg. #CycloneOwen, #CyclonePenny, and so on. Major destructive storms have their names retired – there will never be another Cyclone Tracy, which caused more than $2 billion in damages when it devastated Darwin in 1974.

The bureau accepts requests from members of the public to name storms after themselves or friends – but only in writing. It also warns that with the number of requests far outnumbering the number of cyclones that occur, it is likely to be well over 50 years before your requested name will be allocated to a cyclone.

How do cyclones create so much damage?

Much attention understandably focuses on the wind speed of cyclones because damage increases almost exponentially as winds increase. According to the bureau, a category-5 severe tropical cyclone with gusts in excess of 280km/h has the potential to inflict 250 times the damage of a category-3 cyclone with gusts of 165km/h. Airborne debris can also be lethal.

Cyclone Tracy's flattening of Darwin on Christmas Day 1974 prompted a tightening of building codes across cyclone-prone areas of northern Australia that are constantly reviewed. For example, category-5 Yasi in 2011 led to a finding that roller-door garages are vulnerable to wind damage, says Yetta Gurtner, a researcher at the Centre for Disaster Studies at James Cook University in Townsville.

A banana plantation levelled by Yasi in Tully, north Queensland, in 2011.
A banana plantation levelled by Yasi in Tully, north Queensland, in 2011. Craig Abraham

And category-4 Cyclone Debbie, which slammed into Queensland in 2017 – and which is viewed as Australia's most dangerous cyclone since Yasi – revealed a lack of standards for sliding-track glass, Gurtner says.

Wind damage, though, is only a part – sometimes the minor part – of the bill.

When a cyclone makes landfall, the coast will be smashed by an accompanying storm surge as the fierce winds push seawater onshore. Even the sea itself swells under the low pressure area.

Before Sandy had even hit, the ocean was surging into the suburbs of Atlantic City, New Jersey.
Before Sandy had even hit, the ocean was surging into the suburbs of Atlantic City, New Jersey. 6abc Action News, Dann Cuellar

Hurricane Sandy was actually a depleted hurricane remnant when it hit the US east coast in 2012, but it delivered a four-metre storm surge – a wall of water – which caused the bulk of the coastal damage.

When storms coincide with a high tide, the inundation of coastal areas is worse.

Shallow coral reefs are also vulnerable to cyclones, as Airlie Beach in Queensland witnessed during Cyclone Debbie last year.

But shown by Hurricane Harvey in 2017 and Hurricane Florence in October 2018, the third threat of cyclones can be the most damaging: massive rainfall.

Harvey was the wettest tropical cyclone in US history, dumping more than 1.5 metres of rain over parts of south-west Texas, triggering severe flooding.

As a category 4 hurricane (on the US measure called the Saffir-Simpson scale), it had been well publicised in advance.

Not so for Florence, which neared the Carolina coastline as a category 1 system but then stalled, dropping a "rain bomb" on relatively under-prepared residents.

How do cyclones stop?

Cyclones, fortunately, eventually run out of puff.

They meet wind resistance in the form of land and crossing the coast also means they lose their source of energy from warm seas.

Moving over cooler waters has a similar squelching effect.

The other big cyclone stopper is the intrusion of drier air that can disrupt the vertical passage of moist air. NOAA's Jason Dunion has a keen interest in the huge dust storms emerging from the Sahara that can inhibit or disrupt Atlantic hurricanes.

Indeed, changing wind speeds at different altitudes in the atmosphere – which create what's known as vertical wind shears – can knock a cyclone over, effectively halting it.

A difference in wind speeds of more than 40km/h between the Earth's surface and the troposphere (altitude of about 20,000 metres) will be enough to kill a cyclone, the bureau estimates.

The persistence of wind shear in certain regions, like Hawaii, helps to shield them from cyclones.

Some cyclones, though, can still havelong lives, such as Hurricane Ginger that lasted for 30 days in 1971. Cyclone Rewa also did a big loop off the Queensland coast over 24 days from December 1993 into January 1994.

So are we in an age of super cyclones?

Short answer: we don't know.

Severe cyclones, super typhoons or major hurricanes are terms given to the most powerful cyclones. They are relatively few, and since the era of satellite imagery is just decades old, it is difficult to discern trends.

As the atmosphere warms, it holds about 7 per cent more moisture for each degree it heats up.

Research in Nature found that climate change "enhanced the average and extreme rainfall of hurricanes Katrina, Irma and Maria" relative to pre-industrial times, but did not change windspeed intensity.

Still, as noted above, seven of the top 10 strongest storms up to 2018 to make landfall have happened since 2006, according to Weather Underground.

In the north-east Pacific, where the cyclone season is now ending, the measure of storm activity known as Accumulated Cyclone Energy hit an all-time high since reliable records began in 1970, according to Philip Klotzbach, a meteorologist at Colorado State University.

View post on X

But a 2015 review of the science, lead-written by Melbourne University's Kevin Walsh, found there was not a significant trend in cyclones making landfall in eastern Australia.

Klotzbach agreed that available global data doesn't show any long-term trend.

While scientists say they struggle to detect clear trends, some insurers take another view. The 2017 season smashed previous records for cyclone-caused economic losses globally and changes are afoot, says Ernst Rauch, the chief climate scientist for giant reinsurer MunichRe.

"For the North Atlantic – after normalisation [to counter for increased populations and exposed assets] – we do see an upward trend in the last four decades in losses. Also in Australia," Rauch says. "That is bad news."

Communities can take steps to reduce vulnerability – and higher insurance premiums – by enforcing stricter building codes and planning of what gets built where. "The bottom line is that investment into resilience-building measures pays off," Rauch says.

What about this summer for Australia?


For this coming summer, at least, the predictions are much simpler.

Typically, our region would see 10-13 cyclones each season, four of which cross the Australian coast. The season runs from November to the end of April.

Globally, there are 70-90 tropical cyclones a year.

Not over till it's over: the remnants of Cyclone Debbie swamp Brisbane in 2017.
Not over till it's over: the remnants of Cyclone Debbie swamp Brisbane in 2017.Glenn Hunt

A key influence is the state of the El Nino Southern Oscillation (ENSO), a closely watched gauge of sea-level air pressure differences between Tahiti and Darwin.

So far, ENSO conditions have remained in neutral territory though 2019 although they have tilted towards El Nino levels lately.

There are typically fewer than usual cyclones in the region in El Nino years – and that's what the bureau predicts for the 2019-20 summer.

In fact, odds are running at about two to one of a quieter than usual season.

Still, it only needs one storm to wreck a summer, and complacency can be costly, Gurtner says.

"It's better to be prepared for something that doesn't happen than be under-prepared for something that does," she says.

What happens if the climate continues to warm?

Greenhouse gases trap more heat from the sun, which ends up mostly in the oceans. That means the potential energy source of cyclones will increase.

The effects of a warming world are already evident in rising sea-levels, which have made storm surges about 20-30 centimetres higher over the past century.

Researchers are still investigating how rapidly the storms intensify and whether that too will change as sea temperatures rise.

As NOAA's Dunion puts it: "Folks go to bed with a Cat-1 [category 1] and they wake the next day and maybe it’s a three, or even a four. Those are the kinds of scenarios that catch folks off guard, and the ones that we definitely worry about".

The reach of cyclones into regions further south or north is also growing.

NOAA scientist James Kossin found the average latitude at which tropical cyclones achieve their peak intensity has migrated poleward over the past 30 years. In the southern hemisphere, the shift is about 62 kilometres a decade.

"We are expecting this expansion of the tropics to continue," Nava Fedaeff, a climate scientist with New Zealand's weather bureau, NIWA, says.

"[That] means the ex-tropical cyclones that approach the region in the future may be stronger due to the retention of tropical cyclone characteristics farther south than at present."

For Australia, that could mean stronger storms nearing Brisbane and the Gold Coast.

Studies project rainfall rates within 100 kilometres of a storm will increase about 10-15 per cent if global warming reaches 2 degrees, according to NOAA's Geophysical Fluid Dynamics Laboratory.

By then, maximum cyclone wind strength should also rise 1-10 per cent. "This change would imply an even larger percentage increase in the destructive potential per storm, assuming no reduction in storm size," scientist Thomas Knutson wrote in an NOAA website post.

Windshear is another curveball.

What will happen to high-altitude air circulation with global warming is a key reason that scientists are not so confident about how cyclones will change.

In Walsh's view, it may be more difficult in a warmer world to get a cyclone started but with the warmer oceans there's more energy available for storms once they get going.

"When they do occur, they have the potential to be stronger," he says.

Let us explain

If you'd like some expert background on an issue or a news event, drop us a line at explainers@smh.com.au or explainers@theage.com.au. Read more explainers here.