The Sydney Morning Herald logo
Advertisement

This was published 9 years ago

Three countries to make vital decisions on search for MH370

Ross Peake

Updated ,first published

The search for missing Malaysian Airlines Boeing 777, flight MH370, may be called off soon.

Ministers from Australia, China and Malaysia will meet this week to decide on the future of the drawn-out search for the aircraft.

Loading

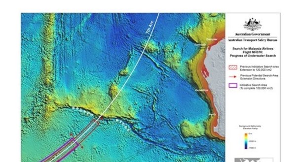
Rough, winter weather has disrupted the search in the southern Indian Ocean but only 10 per cent of the search area remains to be examined.

The $180 million search had been expected to finish by last month and could now finish in spring.

Advertisement
Malaysian and Australian investigators examine the piece of aircraft debris found on Pemba Island off the coast of Tanzania.ATSB

The three nations agreed in April last year that should the aircraft not be located within the 120,000 square kilometre search area and in the absence of any new credible evidence, the search area would not be extended.

The ministers will meet on Friday in the Malaysian federal administrative centre of Putrajaya.

Malaysian Minister of Transport Dato' Sri Liow Tiong Lai will host the meeting, which will also be attended by the Minister of Transport from the People's Republic of China, Yang Chuantang and Australia's Minister for Infrastructure and Transport, Darren Chester.

"The search has been unprecedented in both size and scale, conducted in some of the world's most isolated waters and at times in extremely challenging weather," Mr Chester said on Wednesday.

Advertisement
Malaysian and Australian investigators examine the piece of aircraft debris found on Pemba Island off the coast of TanzaniaATSB

"The meeting will provide an opportunity to reflect on achievements to date and discuss next steps as we near completion of the 120,000 square kilometre search area."

Meanwhile, a large piece of aircraft debris – possibly from MH370 – is being examined in Canberra.

search areaATSB

The Australian Transport Safety Bureau said the part had arrived at its laboratory for testing.

Advertisement

Officials said the large piece of what is likely to be a wing flap was found by locals on Pemba Island, just off the coast of Tanzania, Africa on June 23.

Malaysian and Australian investigators examine the piece of aircraft debris found on Pemba Island off the coast of TanzaniaATSB

Malaysia and Australia have worked with Tanzanian officials to assume responsibility for the wing flap.

Technical specialists from the bureau are working with Malaysian investigators to determine if it is from MH370.

In the two years since the plane disappeared en route from Kuala Lumpur to Beijing with 239 passengers on board, five pieces of debris believed to come from the aircraft have been found.

Advertisement

The bureau has previously examined four pieces of debris on behalf of Malaysia and determined them to be almost certainly from MH370.

This is in addition to the flaperon found on La Reunion Island in July last year and positively identified by French officials as originating from flight MH370.

The latest update from the bureau on the search reveals 110,000sq/km of the search zone in the southern Indian Ocean has now been covered, leaving only 10,000sq/km to be examined.

However, the search has been delayed because sensitive sonar equipment that can examine deep crevices in the seabed can only be deployed in calmer weather.

"Ongoing poor weather conditions have severely impacted search operations and resulted in delays to search operations of around six to eight weeks," the update says.

Advertisement

"Since the onset of poor conditions associated with winter weather, progress has slowed with only a minimal area searched during this time.

"Marginal weather conditions still allow the use of deep tow equipment provided conditions are such that the equipment can be safely deployed and recovered, however, the autonomous underwater vehicle, which is used to survey some of the most difficult underwater terrain in the search area that cannot be searched effectively using the deep tow sonar, can only be launched in the calmer conditions of spring and summer.

"In the event of further poor weather, or delays as a result of unforeseeable problems such as equipment failure or crew incapacity, searching the entire 120,000sq/km search area may continue well beyond the winter months."

Ross PeakeRoss Peake is a senior reporter for The Canberra TimesConnect via email.

From our partners

Advertisement
Advertisement